3.18 우럭
페이지 정보
작성자 마린초이스 작성일21-03-20 08:57 조회11,250회 댓글0건관련링크
본문
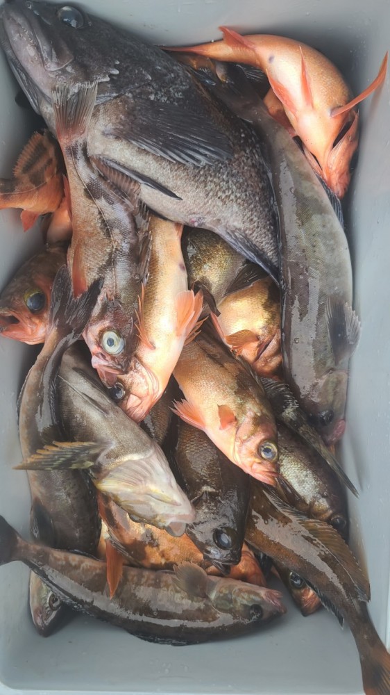
강릉피싱호 조과입니다
강릉피싱호 4분모시고 우럭다녀왔습니다 손님의사정과
개인적인사정으로9시출항하였고 2시쯤 조기입항하였습니다
1분은 멀미로 낚시를 못하였고 2분 1분이 열심히잡아주셨습니다
오늘은 우럭들이 많이 나왔습니다 바람때문에 사진은 못찍었습니다 고생들하셨고 축하드립니다
4짜우럭 4짜참우럭 실합니다
다라이 사진은 빠졌네요ㅠ.ㅠ 열심히 담아두고선 사진을 안찍었네요ㅠ.ㅠ
강릉피싱호 4분모시고 우럭다녀왔습니다 손님의사정과
개인적인사정으로9시출항하였고 2시쯤 조기입항하였습니다
1분은 멀미로 낚시를 못하였고 2분 1분이 열심히잡아주셨습니다
오늘은 우럭들이 많이 나왔습니다 바람때문에 사진은 못찍었습니다 고생들하셨고 축하드립니다
4짜우럭 4짜참우럭 실합니다
다라이 사진은 빠졌네요ㅠ.ㅠ 열심히 담아두고선 사진을 안찍었네요ㅠ.ㅠ
댓글목록
등록된 댓글이 없습니다.







